Slnečný pozemok s panoramatickým výhľadom – Domaša, časť Eva Domaša - Eva, Malá Domaša
- : stavebný pozemok
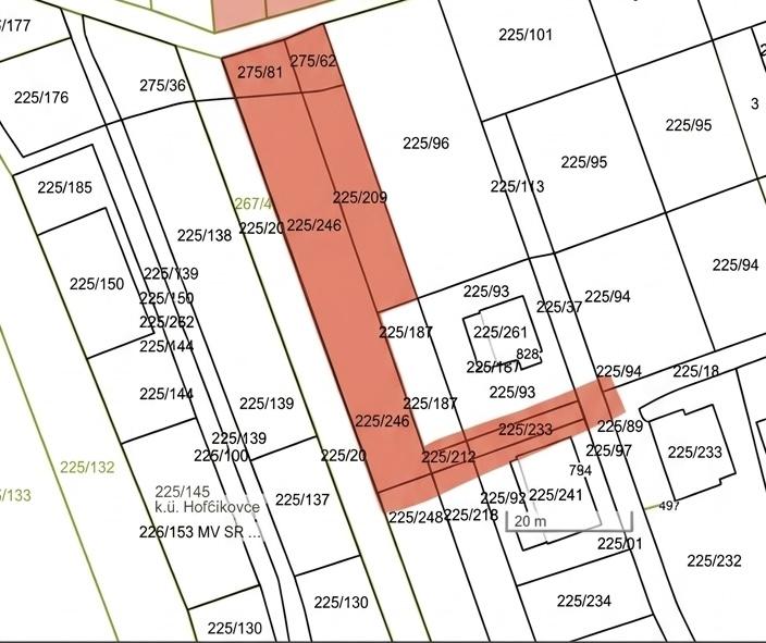
- : 1072 m²
- ID 10160 / Pridané 27.03.2026
POPIS NEHNUTEĽNOSTI
Hľadáte miesto, kde sa ranná káva podáva s najkrajším výhľadom na vodnú hladinu? Ponúkame na predaj výnimočný pozemok v lokalite Domaše – Holčíkovce, rekreačná oblasť Eva.Základné parametre:
• Výmera: 1072 m²
• Orientácia: Slnečný, mierne svahovitý pozemok zaručujúci celodenné svetlo.
• Inžinierske siete: Vodovodná prípojka a elektrina sú k dispozícii priamo na hranici pozemku.
• Prístup: Cesta k pozemku je momentálne lesná, avšak spevnená a bezproblémovo zjazdná pre celú oblasť.
Lokalita a potenciál:
Pozemok je aktuálne na LV vedený ako orná pôda, no proces jeho rekvalifikácie na stavebnú parcelu (zastavané plochy a nádvoria) už aktívne prebieha na príslušnom úrade. To znamená, že nový majiteľ si môže začať plánovať výstavbu svojej rekreačnej chaty v blízkej budúcnosti.
Prečo si vybrať práve oblasť Eva?
Oblasť prešla v poslednom období modernizáciou, čo zvyšuje nielen komfort, ale aj hodnotu samotného pozemku:
• Aktívny relax: Nová asfaltová cesta v stredisku je ako stvorená pre milovníkov behu, cyklistiky či korčuľovania.
• Bezpečnosť a komfort: Novovybudované verejné osvetlenie v celej oblasti.
• Gastro zážitky: Len na skok od pozemku sa nachádzajú obľúbené reštaurácie Palermo a Zátoka, kde si môžete vychutnať skvelé jedlo pri západe slnka.
Tento pozemok nie je len kusom zeme, je to príležitosť vytvoriť si zázemie v lokalite, ktorá spája pokoj prírody s dobrou infraštruktúrou.
Cena: 112.000 € vrátane právneho servisu
Táto inzercia nie je verejnou ponukou na uzavretie zmluvy. Vlastník si vyhradzuje právo voľby o tom, komu a za akých dojednaných podmienok prevedie svoje vlastnícke právo. Pri tejto ponuke je možné licitovať kúpnu cenu podľa všeobecných podmienok licitácie v sieti Winners reality uverejnených na: www.winnersreality.sk/licitacia.
POPIS NEHNUTEĽNOSTI
Hľadáte miesto, kde sa ranná káva podáva s najkrajším výhľadom na vodnú hladinu? Ponúkame na predaj výnimočný pozemok v lokalite Domaše – Holčíkovce, rekreačná oblasť Eva.Základné parametre:
• Výmera: 1072 m²
• Orientácia: Slnečný, mierne svahovitý pozemok zaručujúci celodenné svetlo.
• Inžinierske siete: Vodovodná prípojka a elektrina sú k dispozícii priamo na hranici pozemku.
• Prístup: Cesta k pozemku je momentálne lesná, avšak spevnená a bezproblémovo zjazdná pre celú oblasť.
Lokalita a potenciál:
Pozemok je aktuálne na LV vedený ako orná pôda, no proces jeho rekvalifikácie na stavebnú parcelu (zastavané plochy a nádvoria) už aktívne prebieha na príslušnom úrade. To znamená, že nový majiteľ si môže začať plánovať výstavbu svojej rekreačnej chaty v blízkej budúcnosti.
Prečo si vybrať práve oblasť Eva?
Oblasť prešla v poslednom období modernizáciou, čo zvyšuje nielen komfort, ale aj hodnotu samotného pozemku:
• Aktívny relax: Nová asfaltová cesta v stredisku je ako stvorená pre milovníkov behu, cyklistiky či korčuľovania.
• Bezpečnosť a komfort: Novovybudované verejné osvetlenie v celej oblasti.
• Gastro zážitky: Len na skok od pozemku sa nachádzajú obľúbené reštaurácie Palermo a Zátoka, kde si môžete vychutnať skvelé jedlo pri západe slnka.
Tento pozemok nie je len kusom zeme, je to príležitosť vytvoriť si zázemie v lokalite, ktorá spája pokoj prírody s dobrou infraštruktúrou.
Cena: 112.000 € vrátane právneho servisu
Táto inzercia nie je verejnou ponukou na uzavretie zmluvy. Vlastník si vyhradzuje právo voľby o tom, komu a za akých dojednaných podmienok prevedie svoje vlastnícke právo. Pri tejto ponuke je možné licitovať kúpnu cenu podľa všeobecných podmienok licitácie v sieti Winners reality uverejnených na: www.winnersreality.sk/licitacia.



